Description
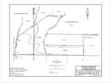
This listing is 4 contiguous lots with 4 separate Tax IDs totaling approximately 14.454 acres. Tarrant County Tax ID 04315022 7.174 Acres Zoned Commercial: Tarrant County Tax ID 05968135 1.0 Acre Zoned Commercial: Tarrant County Tax ID 05968143 1.0 Acre Zoned Commercial: Parker County Tax ID R000089639 5.28 Acres zoning non-existent or unknown. The Parker County Tax ID R000089639 5.28 acres has an existing large pond or lake ready for your personal use and aspirations, and is partially located within the floodplain. Parts of the property are cleared while other parts are heavily wooded. Utilities are nearby. This property has no road frontage. Must be accessed through recorded easements.
-
0BEDS
-
14.45ACRES
-
0BATHS
-
01/2 BATHS
School Information
Description
This listing is 4 contiguous lots with 4 separate Tax IDs totaling approximately 14.454 acres. Tarrant County Tax ID 04315022 7.174 Acres Zoned Commercial: Tarrant County Tax ID 05968135 1.0 Acre Zoned Commercial: Tarrant County Tax ID 05968143 1.0 Acre Zoned Commercial: Parker County Tax ID R000089639 5.28 Acres zoning non-existent or unknown. The Parker County Tax ID R000089639 5.28 acres has an existing large pond or lake ready for your personal use and aspirations, and is partially located within the floodplain. Parts of the property are cleared while other parts are heavily wooded. Utilities are nearby. This property has no road frontage. Must be accessed through recorded easements.
© 2025 North Texas Real Estate Information Systems. All rights reserved. IDX information is provided exclusively for consumers' personal, non-commercial use and may not be used for any purpose other than to identify prospective properties consumers may be interested in purchasing. Information is deemed reliable but is not guaranteed accurate by the MLS or Watters International Realty. The data relating to real estate for sale or lease on this web site comes in part from NTREIS. Real estate listings held by brokerage firms other than Watters International Realty are marked with the NTREIS logo or an abbreviated logo and detailed information about them includes the name of the listing broker. Data last updated 2025-11-09T12:42:50.61.

Listing information © 2025 North Texas Real Estate Information System.